Borrar

¿Cómo se forman los huracanes?

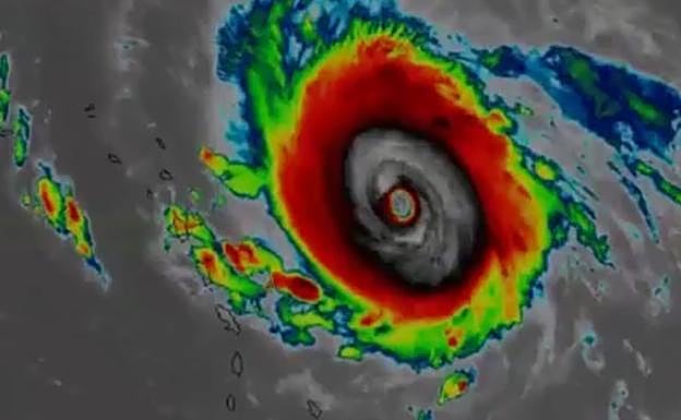
Este vídeo de 40 segundos explica los fenómenos naturales que provocan los ciclones tropicales como Irma o María

Martes, 19 de septiembre 2017, 21:05

Comenta

Esta funcionalidad es exclusiva para suscriptores.

Reporta un error en esta noticia

* Campos obligatorios

elcorreo ¿Cómo se forman los huracanes?